Poljoprivredno zemljište na prodaju, Donje Grbice, 65.000€, 31.5a
Kragujevac, Okolne lokacije, Donje Grbice
Prikaži mapuŠifra oglasa: 4zida-2266Oglas ažuriran: pre 6 meseci




65.000 €
Poljoprivredno zemljište
31.52 a
Opis oglasa
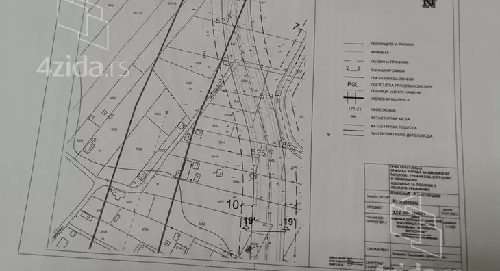
Zemljište se nalazi u naselju Uglješnica, (300 m od novog Yang-Feng-a), površine 32,52 ara. Od parcele se u budućem periodu oduzima 15 m2 za "Petrovačku magistralu", inače se vodi kao zemljište izvan građevinskog područja, u blizini se nalazi dalekovod, pa shodno tome nije dozvoljena bilo kakva gradnja, što se vidi u informaciji o lokaciji. Pogodno je za neki otpad, skladište na otvorenom....
cena: 65.000 eura ( 2.000 eura / aru)
*Sačuvaj oglas uz belešku i primaj obaveštenja o njihovom pojeftinjenju ili pojavljivanju sličnih
Prikaz zemljišta na mapi
Obeležja kulture u blizini
- Sobrašice19 min
- Spomenik otpora i slobode21 min
- Humka Kameni spavač21 min

Škole/Fakulteti/Vrtići u blizini
- Osnovna škola (Osnovna škola Jovan Popović)14 min
- Srednja škola (Medicinska škola Sestre Ninković)23 min
- Vrtić (Dečiji vrtić Cvetić)23 min
- Fakultet (Univerzitet u Kragujevcu Fakultet inženjerskih nauka)24 min

Zdravlje
- Bolnica (Ginekološka bolnica Nikolov)25 min
- Klinika (Poliklinika Kragujmedic)25 min
- Teretana (Teretana Kronos)23 min
Ostale ustanove
- Banka (OTP banka)22 min
- Pošta (Pošta Divostin)15 min
Kontakt oglašivača
▾Reklama▾
Krediti OTP banke
RSDIznos kredita
Period otplate
13 meseciod 12.261 RSD
mesečno
Za klijente banke
NKS 10.55%-EKS 12.53%
Period otplate 13 - 71 mesec
Saznaj više