Plac za izdavanje, Podbara, 2.500€, 15.0a
Podbara, Gradske lokacije, Novi Sad
Prikaži mapuŠifra oglasa: 4zida-1864Oglas ažuriran: pre 8 dana










2.500 €
Plac
15 a
- Infrastruktura: kanalizacija
Opis oglasa
Izdaje se parcela površine 1510 m2 sa starom kućom površine 91m2 u poslovne svrhe na izuzetno dobro saobraćajno povezanoj lokaciji, u neposrednoj blizini raskrsnice između Partizanske i Temerinske ulice, tik do benzinske pumpe. Pogodna je za razne opcija skladišta, prodajnih placeva, servisa i sl. Vlasnici otvoreni za razne vrste dogovora. Broj u Reg.posrednika 475.
*Sačuvaj oglas uz belešku i primaj obaveštenja o njihovom pojeftinjenju ili pojavljivanju sličnih
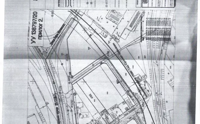
Prikaz zemljišta na mapi
Parkovi u blizini
- Park srpsko-azerbejdžanskog prijateljstva26 min
- Železnički park27 min
- Dunavski park30 min

Obeležja kulture u blizini
- Spomen ploča Albertu Ajnštajnu i Milevi Marić9 min
- Spomenik Kralju Petru I Karađorđeviću9 min
- Vladičanski dvor9 min

Škole/Fakulteti/Vrtići u blizini
- Osnovna škola (Osnovna škola Vuk Karadžić)7 min
- Srednja škola (Tehnička škola Pavle Savić)6 min
- Vrtić (Dečiji vrtić Čarobnjak)6 min
- Fakultet (Fakultet za sport i turizam)10 min

Zdravlje
- Bolnica (Specijalna bolnica za bolesti zavisnosti Dr Boro Lazić)9 min
- Klinika (Poliklinika Marić)7 min
- Teretana (Fitness centar Mega Gym Novi Sad)5 min
Hrana i piće
- Prodavnica (Lidl)5 min
- Restoran (Restoran Sokače Nisko)5 min
- Kafana (Kafana Biblioteka)14 min
Prevoz
- Taksi stajalište (Novus taxi)9 min
- Autobuska stanica (Put Šajkaškog Odreda - Temerinska)3 min
Ostale ustanove
- Banka (Poštanska štedionica)10 min
- Pošta (Pošta Novi Sad 21139)17 min
Kontakt oglašivača
Svi oglasi - Invicta nekretnine VK doo Novi SadVesna Kurteš

▾Reklama▾
Krediti OTP banke
RSDIznos kredita
Period otplate
13 meseciod 12.261 RSD
mesečno
Za klijente banke
NKS 10.55%-EKS 12.53%
Period otplate 13 - 71 mesec
Saznaj više