Građevinsko zemljište na prodaju, Zova, 55.000€, 561.0a














55.000 €
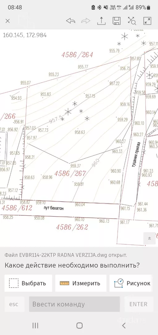
- Infrastruktura: asfaltni prilaz
Opis oglasa
Prodaje se izuzetan građevinski plac u naselju Zova, jednom od najlepših i najtraženijih delova Zlatibora. Plac se nalazi u mirnom i zelenom okruženju, okružen borovom šumom i novijim objektima, idealnom kako za izgradnju luksuzne vikendice ili kuće, tako i za investicioni projekat.
Površina placa iznosi 5,6 ari, sa odličnim urbanističkim parametrima.
Indeks izgrađenosti 1,43 omogućava izgradnju objekta ukupne bruto površine do 800 m², spratnosti P+5+Pk, što ovaj plac čini izuzetno atraktivnim za izgradnju apartmanskog objekta, vile sa više jedinica ili turističkog kompleksa.
Infrastruktura je već obezbeđena – do samog placa je urađen behaton u dužini od oko 30 metara, koji se dalje nastavlja na potpuno uređen asfaltni put, što omogućava lak i komforan pristup tokom cele godine, bez obzira na vremenske uslove.
Lokacija kombinuje ono što kupci na Zlatiboru najviše traže – mir, prirodu i privatnost, ali i odličnu povezanost sa centrom i svim sadržajima.
Naselje Zova važi za prestižan i stabilno rastući deo Zlatibora, idealan za investitore koji žele sigurnu i isplativu gradnju, ali i za one koji žele mirnu porodičnu kuću ili vikendicu u prirodi.
Plac je pravilnog oblika, osunčan, sa lepim pogledima i okružen zelenilom, što dodatno povećava njegovu vrednost i atraktivnost.
Ova nekretnina predstavlja odličnu priliku za ozbiljne investitore, ali i za kupce koji žele da izgrade svoju kuću iz snova na jednoj od najlepših lokacija na Zlatiboru.
Kontakt: Jelena 065... (prikaži broj telefona)
*Sačuvaj oglas uz belešku i primaj obaveštenja o njihovom pojeftinjenju ili pojavljivanju sličnih
Prikaz zemljišta na mapi
Parkovi u blizini
- Zabavni park Meda25 min
- Sportski park Zlatibor29 min

Obeležja kulture u blizini
- Spomen česma na Oku8 min
- Spomenik Krsti Smiljaniću11 min
- Kraljeva česma11 min

Škole/Fakulteti/Vrtići u blizini
- Osnovna škola (Osnovna škola Dimitrije Tucović)9 min
- Srednja škola (Ugostiteljsko turistička škola)15 min
- Vrtić (Dečiji vrtić Narcis)10 min
- Fakultet (Visoka poslovno-tehnička škola strukovnih studija Užice)37 min

- Bolnica (Specijalna bolnica za bolesti štitaste žlezde Čigota Zlatibor)10 min
- Klinika (Dijagnostički centar Dr Lune)34 min
- Prodavnica (Supermarket Univerexport)18 min
- Restoran (Miris dunja - restoran i vila)16 min
- Kafana (Pivnica Dva jarca)25 min
- Taksi stajalište (Maxi Taxi Zlatibor)19 min
- Autobuska stanica35 min
- Banka (Poštanska štedionica)9 min
- Pošta (Pošta Zlatibor)10 min
Kontakt oglašivača

Krediti OTP banke
Period otplate
13 mesecimesečno
Period otplate 13 - 71 mesec
Saznaj više