Građevinsko zemljište na prodaju, Slatinska bara, 80.000€, 41.0a
Beograd, Grocka opština, Vrčin
Prikaži mapuŠifra oglasa: 4zida-2285-4499Oglas ažuriran: pre 3 meseca
















80.000 €
Građevinsko zemljište
41 a
Opis oglasa
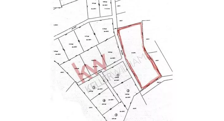
U najlepšem delu pod Avalom, prodajemo plac, površine 41 ar, okružen zelenilom. Zemljište u graževinskoj zoni. Dvostrano orijentisano sa izlazom na 2 ulice. Ovaj plac se nalazi na svega 100m od novoizgrađenog naselja Avalske doline.
Prilaz sa glavnog, asfaltnog puta, dovod za struju, vodu i gas, informacija o lokaciji za dozvoljenu gradnju. Približno pravougaonog oblika sa Geo prikazom i skicom u prilogu.
Lokacija: - udaljenost od Beograda 15min vožnje
- udaljenost od auto-puta 3km
- udaljenost od Avalskog puta 1km
Uknjižen. Dokumentacija o vlasništvu.
*Sačuvaj oglas uz belešku i primaj obaveštenja o njihovom pojeftinjenju ili pojavljivanju sličnih
Prikaz zemljišta na mapi
Obeležja kulture u blizini
- Stara kuća porodice Protić16 min
- Spomenik Vasi Čarapiću18 min
- Spomenik sovjetskim ratnim veteranima18 min

Škole/Fakulteti/Vrtići u blizini
- Osnovna škola (Osnovna škola Vasa Čarapić)11 min
- Srednja škola (Gimnazija Patrijarh Pavle)26 min
- Vrtić (Dečiji vrtić Lane)12 min
- Fakultet (Univerzitet u Beogradu Farmaceutski fakultet)27 min

Zdravlje
- Bolnica (Hirurška bolnica Aesculap)22 min
- Klinika (Poliklinika Vaša kuća zdravlja)27 min
- Teretana (Školica sporta Activity Centar)26 min
Hrana i piće
- Prodavnica (Trgovina Lazović - piljara i market)24 min
- Restoran (Restoran Šuplja stena)25 min
Prevoz
- Autobuska stanica (Kapija Šumadije)14 min
Ostale ustanove
- Banka (Raiffeisen Bank)26 min
- Pošta (Pošta Zuce)10 min
Kontakt oglašivača
▾Reklama▾
Keš krediti
RSDIznos kredita
Period otplate
13 meseci