Građevinsko zemljište na prodaju, Ravni Gaj, 11.520€, 9.6a








Opis oglasa
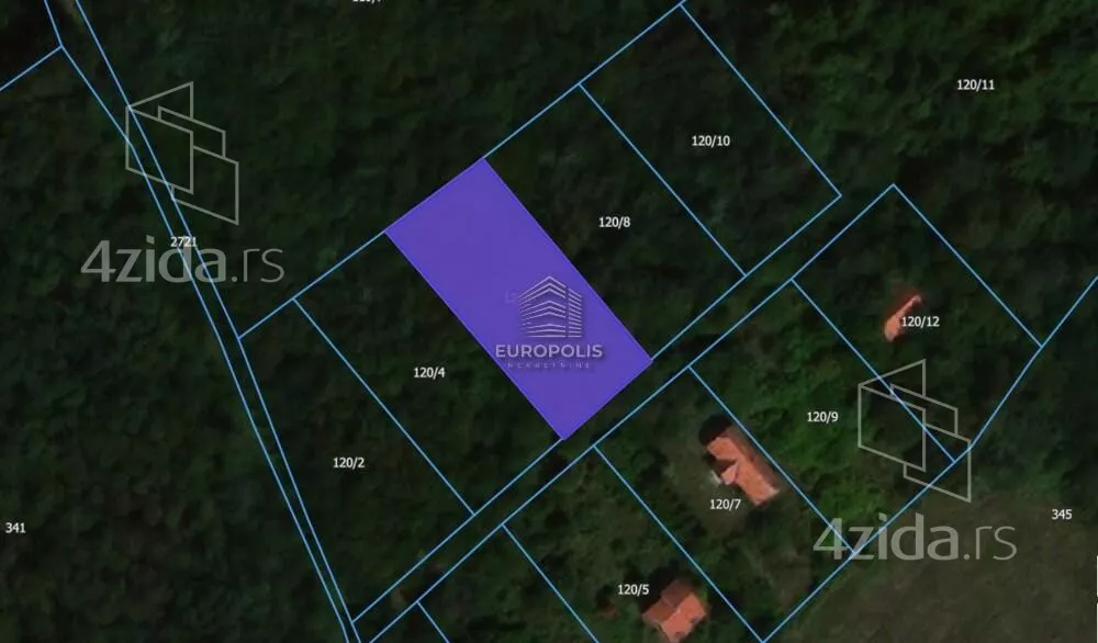
- Ekskluzivna prodaja. - Uknjižen plac. - Vlasništvo 1/1. - Bez tereta i zabeležbi. - Katastarski čist list nepokretnosti. - Plac pravougaonog oblika. - Asfalt na 500 metara od placa. - Tri kuće preko puta placa. - Atarski put u ulici ispred placa. - Naselje Ravni gaj u Parcanima, opština Sopot. - Broj katastarske parcele je 120/6 KO PARCANI. - Zemljište u građevinskom području. - Mogućnost gradnje kuće ili vikendice. - Površina placa je 9,6 ari. - Cena placa iznosi 11.520 EUR. - Izuzetna prilika za kupovinu. - U prilogu oglasa su slike sa sajta Geosrbija gde se jasno vidi oblik i pozicija placa. - Takođe, u prilogu oglasa je izvod iz baze Katastra nepokretnosti za plac koji je predmet prodaje. - Za vise informacija pozvati. - Topla preporuka! - Agencijska nadoknada iznosi 1000 EUR. .
*Sačuvaj oglas uz belešku i primaj obaveštenja o njihovom pojeftinjenju ili pojavljivanju sličnih
Prikaz zemljišta na mapi
Obeležja kulture u blizini
- Spomenik palim ratnicima 1912-191818 min
- Spomen česma Natalije Obradović i Julije Radošević19 min
- Stari han21 min

Škole/Fakulteti/Vrtići u blizini
- Osnovna škola (Osnovna škola Milorad Mića Marković)11 min
- Srednja škola (Ekonomsko-trgovinska škola Sopot)21 min
- Vrtić (Dečiji vrtić Veselo detinjstvo)10 min
- Fakultet (Visoka građevinsko-geodetska škola Beograd)33 min

- Bolnica (Institut za rehabilitaciju Banja Selters)24 min
- Klinika (Poliklinika Jeremić)32 min
- Teretana (Fitness centar Mega Gym Smederevo)30 min
- Prodavnica (Aman market)11 min
- Banka (Eurobank Direktna)21 min
- Pošta (Pošta Mali Požarevac)13 min
Kontakt oglašivača
Keš krediti
Period otplate
13 meseci




















