Građevinsko zemljište na prodaju, Mišeluk, 564.060€, 27.6a


Opis oglasa
Agencijska oznaka 8.
Predstvaljamo Vam jedinstvenu parcelu za izgradnju, pogodna za investitore, na odličnoj lokaciji na Mišeluku. Ova atraktivna lokacija, pruža savršen spoj mirnog okruženja i blizine svih važnih sadržaja. Pozivamo investitore da iskoriste ovu priliku i zajedno ostvarimo potencijal ove savršene lokacije koja se nalazi na 5 minuta od centra grada.
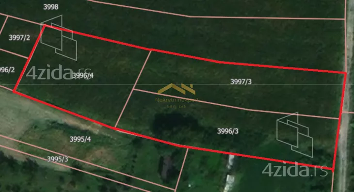
Ova lokacija se sastoji od tri zasebne parcele, koje se prodaju u celini, ali postoji mogućnbost kupovine i pojedinačnih parcela, jer svaka pojedinačno je više nego atraktivna. Po urbanističkom planu parcela će ostati ista, bez bilo kakvih promena i izmena. Dozvoljena gradnja je P+1+PK, sa zauzetošću 40%. Privatna svojina 1/1.
Napomena: Ova parcela je posebna po tome što će izlati na dve ulice, što je čini jedinstvenom i drugačijom od ostalih. Moguća je komunikacija iz dve ulice.
Vlasnik je spreman na pregovore sa investitorima o kompezaciji za kvadrate u stanovima.
Za više informacija zakažite sastanak.
Reg.pos: 1734
*Sačuvaj oglas uz belešku i primaj obaveštenja o njihovom pojeftinjenju ili pojavljivanju sličnih
Prikaz zemljišta na mapi
Parkovi u blizini
- Kamenički park27 min
- Park prirode Instituta u Sremskoj Kamenici29 min
- Limanski park42 min

Obeležja kulture u blizini
- Kuća Jovana Jovanovića Zmaja5 min
- Kuća iz 1797. godine5 min
- Dvorac Marcibanji-Karačonji6 min

Škole/Fakulteti/Vrtići u blizini
- Osnovna škola (Privatna osnovna škola Svitac)5 min
- Srednja škola (Francusko-srpska gimnazija Petar I od Srbije)3 min
- Vrtić (Dečiji vrtić Čika Jova)5 min
- Fakultet (Educons Univerzitet)3 min

- Bolnica (Kovid bolnica Novi Sad)7 min
- Klinika (Poliklinika NS Lab)8 min
- Teretana (Joga Yogaja Studio)6 min
- Prodavnica (Mikromarket)15 min
- Restoran (Restoran Beskraj)17 min
- Kafana (Kafana Tako je suđeno)30 min
- Taksi stajalište (Taxi Igi Ina)32 min
- Autobuska stanica (Petlja Mišeluk - Tunel)9 min
- Banka (Poštanska štedionica)5 min
- Pošta (Pošta Sremska Kamenica 21202)4 min
Kontakt oglašivača
Keš krediti
Period otplate
13 meseci




















