Građevinsko zemljište na prodaju, Kneževac, 1.565.700€, 208.8a



1.565.700 €
Opis oglasa
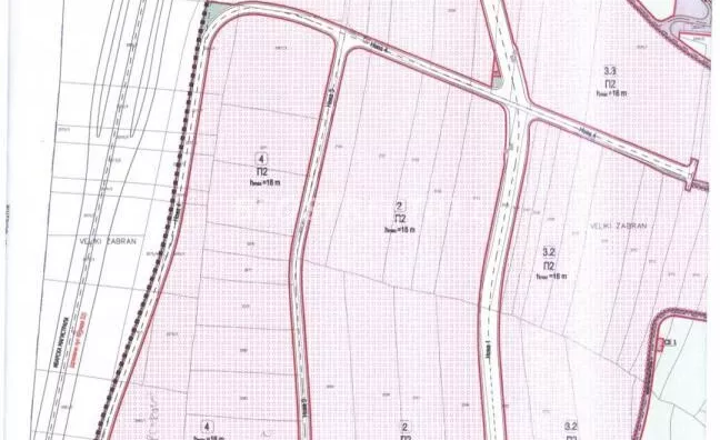
Predmet prodaje predstavlja gradjevinsko zemljište u opštini Rakovica, Beograd, površine 2 hektara 8 ari i 76 m2.
Građevinsko zemljište se sastoji od 3 parcela i to:
Parcele , površine 65 ari i 81m2,
Parcele površine 67ari i 87 m2,
Parcele ,površine 75 ari i 8m2,
Koje su upisane u listu nepokretnosti K.O. Kneževac;
Cena iznosi 75 eur/m2.
Za predmetni deo je urađen plan detaljne regulacije koji reguliše parametre za gradnju.
Status zemljišta : poslovno zemljište ,namenjeno za industrijske i poslovne objekte.
Ovo zemljište se nalazi na 300 m od vijadukta ,koji povezuje kružni tok od autoputa E -75 i Ibarske magistrale. Kopnene granice:
na severu deo kružnog tokaautoputaE-75 ( koridor KS) na zapadu sa autoputem M22 ( Ibarska magistrala)
Uredna dokumentacija,ukniženo 1/1 !
Sale a bulding land situated in the municipality Rakovica, Belgrade, with an area of 2 hectares, 8 ares and 76 m2. The land consists of 3 plots, as following:
Plot - 65 ares and 81m2,
Plot - 67 ares and 87 m2,
Plot -75 ares and 8m2,
registered in the immovable property lCatadastral municipality Knezevac.
This land is located about 300 m from a viaduct, which connects the roundabout from the E-75 highway and the Ibarska motorway. The land borders:
on the north a part of the roundabout of the highway E-75 (Corridor X);
on the west with motorway M22 (Ibarska motorway).
Status of the land: commercial land intended for an industrial and commercial buildings.
Neat documentation, registered 1/1 !
*Sačuvaj oglas uz belešku i primaj obaveštenja o njihovom pojeftinjenju ili pojavljivanju sličnih
Prikaz zemljišta na mapi
Parkovi u blizini
- Park Bele vode32 min
- Miljakovačka šuma42 min

Obeležja kulture u blizini
- Česma izvor Bele vode12 min
- Spomenik partizanskim borcima Žarkova12 min
- Česma izvor Zmajevac14 min

Škole/Fakulteti/Vrtići u blizini
- Osnovna škola (Osnovna škola 14. oktobar)6 min
- Srednja škola (Gimnazija Patrijarh Pavle)7 min
- Vrtić (Dečiji vrtić Sunašce)10 min
- Fakultet (Visoka sportska i zdravstvena škola)15 min

- Bolnica (Specijalna bolnica za internu medicinu Nova Vita)14 min
- Klinika (Poliklinika Paster Vidikovac)4 min
- Teretana (Teretana i fitnes i bodi bilding klub Lesandar)10 min
- Prodavnica (Melf mini market)2 min
- Restoran (Restoran Gurmanluk)2 min
- Kafana (Kafana La Bella Mafia)9 min
- Taksi stajalište (Taxi stanica)13 min
- Autobuska stanica (OŠ 14. Oktobar)4 min
- Banka (Poštanska štedionica)4 min
- Pošta (Pošta Beograd 109)5 min
Kontakt oglašivača
Keš krediti
Period otplate
13 meseci