Plac na prodaju, Bukovac, 49.900€, 5.0a
Novi Sad, Gradske lokacije, Bukovac
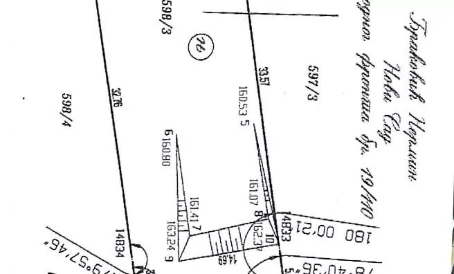
Prikaži mapuŠifra oglasa: 4zida-1710Oglas ažuriran: pre 7 meseci


















Plac
5 a
Opis oglasa
Gradjevinski plac 553m Bukovac Kosovska ulica za gradnju kuće
Lokacija: Bukovac (Srbija, Novi Sad)
Namena: Porodično stanovanje
Površina zemljišta: 553m2
Put do placa: Asfaltni put
Dodatne informacije
Struja, Gas
Tekst oglasa
Ekskluzivna prodaja
Oglasavamo prodaju, GRADJEVINSKI PLAC 553m na Fruskoj gori u mestu Bukovac, blizu Novog Sada, u urbanom delu naselja, Kosovska ulica , sva infrastruktuira je tu, struja, voda, gas . . .dozvoljena gradnja Su+Pr+1 porodična kuća. Za više informacija pozovite agenta 063... (prikaži broj telefona)
Ekskluzivno pravo prodaje Bombyx reg 217
*Sačuvaj oglas uz belešku i primaj obaveštenja o njihovom pojeftinjenju ili pojavljivanju sličnih
Prikaz zemljišta na mapi
Obeležja kulture u blizini
- Spomenik Vezirac8 min
- Kuća Jovana Jovanovića Zmaja12 min
- Kuća iz 1797. godine12 min

Škole/Fakulteti/Vrtići u blizini
- Osnovna škola (Osnovna škola 22. avgust)2 min
- Srednja škola (Francusko-srpska gimnazija Petar I od Srbije)10 min
- Vrtić (Dečiji vrtić Zeka)3 min
- Fakultet (Educons Univerzitet)10 min

Zdravlje
- Bolnica (Kovid bolnica Novi Sad)10 min
- Klinika (Poliklinika NS Lab)12 min
- Teretana (Joga Yogaja Studio)13 min
Hrana i piće
- Prodavnica (Mikromarket)3 min
- Restoran (Restoran Zelena oaza)42 min
Prevoz
- Autobuska stanica (Bukovac - O.Š. "22 Avgust")4 min
Ostale ustanove
- Banka (Poštanska štedionica)12 min
- Pošta (Pošta Bukovac)2 min
Kontakt oglašivača
▾Reklama▾
Keš krediti
RSDIznos kredita
Period otplate
13 meseci