Građevinsko zemljište na prodaju, Adrani, 280.280€, 140.1a












280.280 €
Opis oglasa
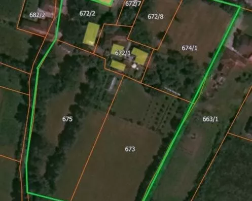
Na prodaju plac koji se nalazi u centralnoj Srbiji, na raskrsnici puteva, u mestu Adrani. Zemljište: Sve parcele su u jednom komadu, tj grupisane u široki pravougaonik ukupne površine od 14.140 m2. Cela površina placa je ravna. Postoji mogućnost dokupa granične parcele od 2.022 metara kvadratnih (parcela 664, slika 1). Postoji sopstvena kanalizaciona i vodovodna mreža, a u izgradnji je gasovodna i kanalizaciona mreža koje prelaze pored lokacije i za koje su predvidjeni priključci. Trenutno lokacija izlazi na regionalnim put (Kraljevo-Čačak) i na magistralni put (Kosovo-Kraljevo-Beograd, Ibarska magistrala) . Priključenje na regionalni put je već urađeno i ne trebaju nikakve dodatne takse. Na lokaciju je moguće ući iz dva pravca. Ukupna površina objekata je veća od 450 m2 (dve kuće, poslovni prostor, pomoćni objekti). Sa završetkom autoputa Pojate-Preljina 2024. godine, plac će biti udaljen 1.5 km od uključenja na autoput (povezan magistralnim putem) preko koga će biti povezan sa Beogradom (Evropskom unijom), lukom Bar, lukom Solun i Sarajevom što ga čini veoma atraktivnim za distributivno-logistčki centar, benzinsku pumpu, hladnjaču, obavljanje raznih trgovinskih, proizvodnih i uslužno-zabavnih delatnosti. Zona oko uključenja na autoput je planirana da bude distributivno-logistčki centar i industrijka zona grada Kraljeva. U blizini parcele prolazi elektrificirana železnička pruga Kraljevo-Požega, koja je povezana sa prugom Beograd-Bar, i drugim žel. prugama koje idu prema Grčkoj, Bugarskoj, Madjarskoj, a na 400m od domaćinstva nalazi se aktivno železnićko putnička-teretna stanica Adrani sa utovarno-istovarnom rampom dužine oko 120m. Do i od železničke stanice vode čak dva asfaltirana puta. Domaćinstvo pripada gardjevinskoj zoni, što ovu lokaciju čini veoma atraktivnom i perspektivnom za izgradnju: proizvodnih, trgovinskih, skladišnih, uslužnih i drugih objekata. udaljen 5 km od Kraljeva i 1.5 km od uključenja na autoput u izgradnji Preljina – Pojate. Putničko teretni aerodrom Lađevci nalazi se na 7km. ZA SVE DODATNE INFORMACIJE I SLIKE POZOVITE AGENCIJSKI BROJ . Agencijska provizija: 2.00 % Opis provizije: + PDV.
*Sačuvaj oglas uz belešku i primaj obaveštenja o njihovom pojeftinjenju ili pojavljivanju sličnih
Prikaz zemljišta na mapi
Obeležja kulture u blizini
- Crkva brvnara8 min
 - Spomenik žrtvama oslobodilačkih ratova 1912-19418 min
 - Spomen kuća Dobrosava Jovanovića8 min
 

Škole/Fakulteti/Vrtići u blizini
- Osnovna škola (Osnovna škola Dragan Marinković)27 min
 - Srednja škola (Poljoprivredno-hemijska škola Dr Đorđe Radić)11 min
 - Vrtić (Dečiji vrtić Petar Pan)10 min
 - Fakultet (Alfa BK Univerzitet)12 min
 

- Bolnica (Opšta bolnica Studenica Kraljevo)13 min
 - Klinika (Poliklinika SVS Medicus)13 min
 - Teretana (Fitnes klub Doctor Feelgood)12 min
 
- Prodavnica (Gala market)2 min
 
- Autobuska stanica (Sinđelići)17 min
 
- Banka (Poštanska štedionica)8 min
 - Pošta (Pošta Adrani)27 min
 
Kontakt oglašivača
Keš krediti
Period otplate
13 meseci
