1-etažna kuća na prodaju, Novi Futog, 50.000€, 82m²












50.000 €
610 € / m2
- Dvojna kuća
- Etaž: 1
- Površina: 82 m²
- Površina placa: 469a
- Potrebno renoviranje
- Uknjiženo
- Kupovina direktno od vlasnika
- Godina izgradnje: 1960.
Opis oglasa
Investicioni ili porodični plac u Futogu – 469 m²
Prodaje se pravougaon plac sa legalizovanom kućom od 82 m² u mirnom i razvijenom delu Futoga.
Struja i voda su na placu, dok su plin i kanalizacija dostupni u ulici.
Odlična lokacija: 5 min od Poljoprivredne škole, 15 min od osnovne škole i bolnice, 15 min od centra Futoga i 5 min od autobuske stanice.
Jedina manja ograničenost je širina fronta od 8 m.
Plac je idealan za gradnju porodične kuće ili kao sigurna investicija.
*Sačuvaj oglas uz belešku i primaj obaveštenja o njihovom pojeftinjenju ili pojavljivanju sličnih
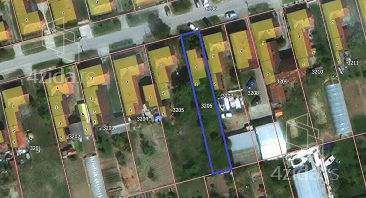
Prikaz kuće na mapi
Obeležja kulture u blizini
- Mađarska reformatorska crkva sa zgradom parohijskog doma23 min
- Jodna Banja32 min
- Dvorac Hadik-Kotek10 min

Škole/Fakulteti/Vrtići u blizini
- Osnovna škola (Osnovna škola Desanka Maksimović)5 min
- Srednja škola (Poljoprivredna škola Futog)10 min
- Vrtić (Dečiji vrtić Crvenkapa)4 min
- Fakultet (Protestantski teološki fakultet)24 min

- Bolnica (Ginekološka bolnica Ferona)23 min
- Klinika (Family Medica poliklinika)25 min
- Teretana (Fitness studio Top Form)22 min
- Prodavnica (Expeto market)2 min
- Restoran (Restoran Kum)5 min
- Kafana (Splav Dunavac)38 min
- Autobuska stanica (Futog - Sonje Marinković - Sime Šolaje)2 min
- Banka (NLB Komercijalna banka)15 min
- Pošta (Pošta Futog 21410)15 min
Kontakt oglašivača
Krediti OTP banke
Saznaj više
Prikazana rata odnosi se na maksimalni period otplate. Kalkulator je informativnog karaktera.
* Nakon isteka 5 godina, prelazi se na varijabilnu kamatnu stopu

